1326 BARRON RoadThorold, ON L2E 5S5




Mortgage Calculator
Monthly Payment (Est.)
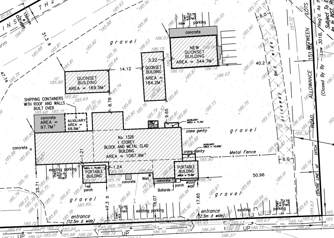
$11,406Well maintained multi-tenanted industrial property with 4 separate buildings. Situated on approx. 5.68 acres. More than 500k in building and site improvements in the last 4 years. Two 7T overhead cranes that can load and unload inside with exterior rails. Clear ceiling heights from 16 ft. to 22 ft. Two points of entry onto site and a large truck turning radius. Five drive in doors 18 ft. w x 18 ft. h. Several leases in place. New Quonset hut leased along with partial yard. Ample parking. Site plan approved for all buildings. Great for owner occupier or lease a portion to multiple tenants for income. Good potential for expansion. Phase 3 environmental study complete. 2022 Survey available.
| 12 hours ago | Listing first seen on site | |
| 12 hours ago | Listing updated with changes from the MLS® |
Listing information is provided by Participants of the Toronto Real Estate Board. VOW information is provided exclusively for personal, non-commercial use, and may not be used for any purpose other than to identify prospective properties consumers may be interested in purchasing. Information is deemed reliable but not guaranteed. Copyright 2025, Toronto Real Estate Board
Last checked 2025-12-05 03:02 AM UTC



Did you know? You can invite friends and family to your search. They can join your search, rate and discuss listings with you.